Last Update Jul.16.2000

前ぇ〜 次ぃ〜


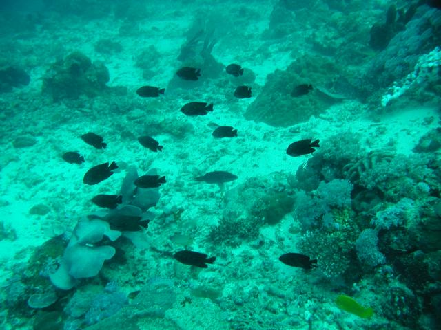
よくよく見ると黒い魚の中に
白いのが一匹混ざってます
右下には黄色いのもいます


メニューに戻る


TOPに戻る